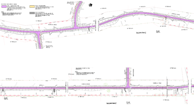
MARRAKAI ROAD AND ARNHEM HIGHWAY INTERSECTION UPGRADE

MLEI undertook the design for the D&C upgrade of 3km of Marrakai Road in the Darwin area, which included:
• Upgrade of gravel road Marrakai Road to seal between CH 47.3 to 50.2km
• Upgrade of Arnhem Highway-Marrakai Road intersection
• Upgrade and seal of 3 minor intersections – Burnside Road, Barney Street and Stephen Road
• Installation of solar flag lighting at the intersections.
Our services included:
• Project development – engineering ground survey, geo-referenced aerial imagery, services identification
• Geotechnical investigation – excavation alignment test pits, laboratory testing
• Design and documentation – 20%, 50% and 90% designs, including stage 3 road safety audit and construction estimates
• 100% final documentation.